物件紹介

Introduction
三条市如法寺団地の土地 (仲介物件)

正面 北側から南側に向けて撮影 高低差がありますが、上に登れば見通しの良い物件です。
東側から西側に向けて撮影 左側に当該物件がございます。角地のため使い勝手の良い物件です。(北側と西側と南側に道路があります)※画像は北側の市道になります。
公図です。地番は1ー24になります。
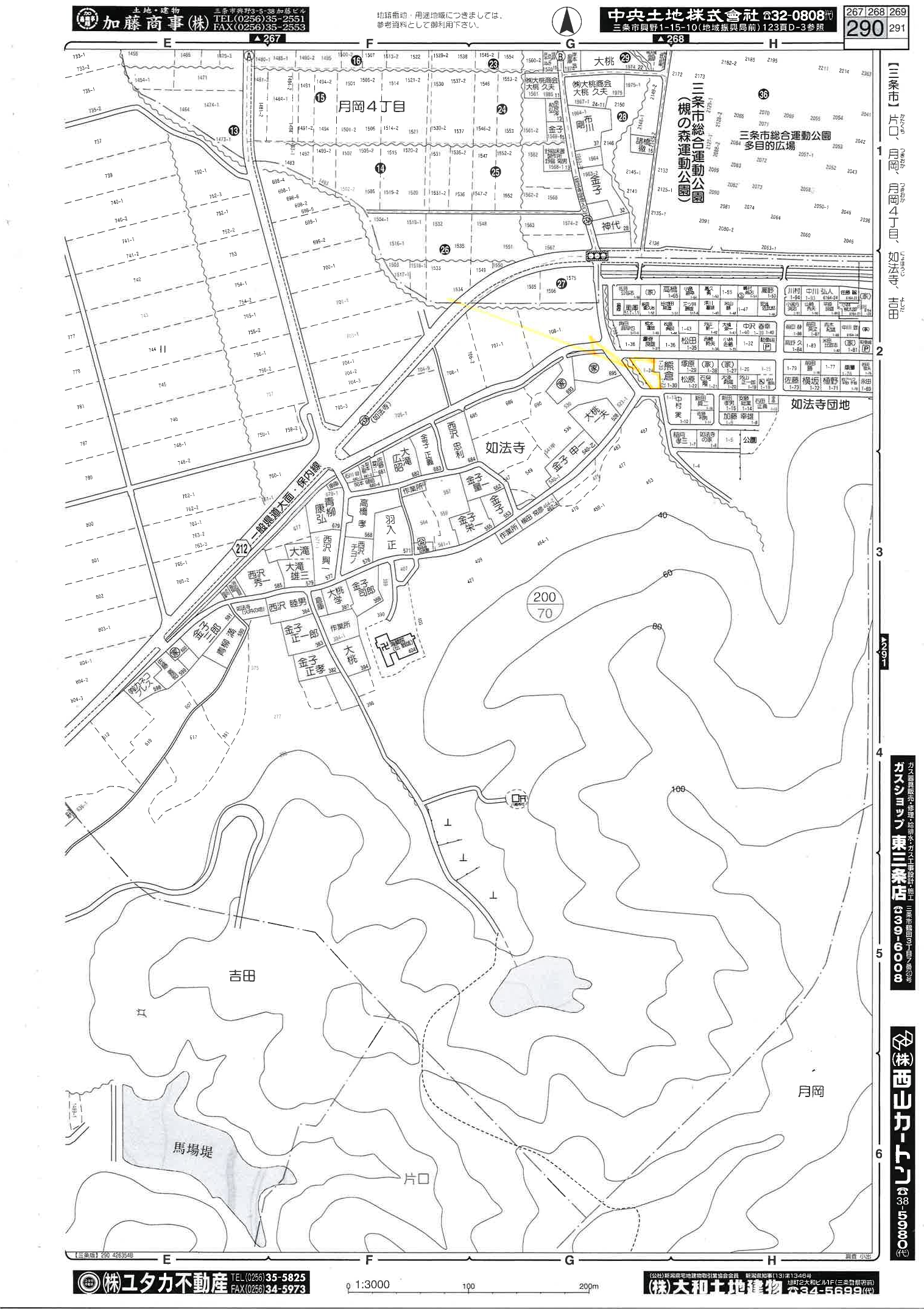
住宅地図です。黄色の線で囲っている箇所になります。この物件は如法寺団地内の出口のそばにあり、すぐ県道に出ることができ、角地で面積も大きいため使い勝手の良い物件です。
また土地の価格も所有者様のご厚意により、1万円とさせていただいています。
また団地内では住宅を建築するだけでなく、畑をされている方もいらっしゃいます。
これまで、例えばアウトドア(バーベキュー等)のための場所を探されている方からのお問い合わせもあり、広い使用目的
をご検討いただいた物件になりますので、お気軽にご連絡をお待ちしています。
| 物件 | 売地 (仲介物件) |
| 地域 | 三条市如法寺 (地番1-24) |
| 土地権利 | 所有権 |
| 価格 | 1万円 |
| 都市計画 | 都市計画地内 |
| 用途地域 | 無指定 |
| 建蔽率 | 70% |
| 容積率 | 200% |
| 設備 | ガス、水道管は前面道路にあり、引き込みはございません。 |
| 引渡し | 即引渡し可 |
| 学区 | 月岡小学校、本成寺中学校 |
| 道路 | 市道 (北側と西側と南側) |
| 備考 | 建築条件無し、合併浄化槽、仲介物件のため仲介手数料がかかります。 |

